Hurricane Florence On Track To Hit East Coast Later This Week
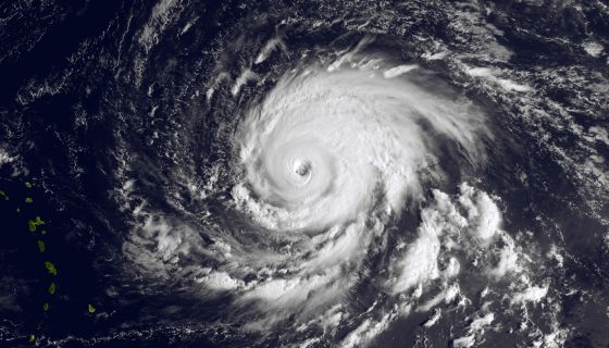
Hurricane Florence is getting stronger as it takes aim at the east coast of the United States with a landfall anticipated later this week. The storm’s center will move northwest between Bermuda and the Bahamas on Tuesday and Wednesday. It’s expected to become at least a Category 3 hurricane before reaching the mainland.
Don’t Miss The Latest In Entertainment, News, and More! Sign Up For Our Newsletter!
As of 5 a.m. ET Monday, Hurricane Florence’s center was about 625 miles southeast of Bermuda and was moving west-northwest at a speed of 9 mph. Florence has maximum sustained winds of 105 mph. Those winds are expected to increase in the coming hours.
The National Hurricane Center is warning of “an increased risk of life-threatening impacts for Florence,” citing “storm surge at the coast, freshwater flooding from a prolonged and exceptionally heavy rainfall event inland and damaging hurricane force winds.”
Do you know somebody in the hurricane’s potential path? What kind of preparations are they making?
See story here
Text “Kiss” To 23845 for your chance at ticket giveaways and news before anyone else!…Standard Messaging Rates Apply
For the Latest Entertainment News:
Follow @‘kissrichmond’[ione_media_gallery id=”2957348″ overlay=”true”]
Latest…
- ‘Diverse Engagement’ Presents a Virtual Town Hall on Redistricting & Black Representation
- Gallery: Top Fan Looks From The 'Michael' Movie Opening Weekend
- President Trump Evacuated From White House Correspondents’ Association Dinner
- Megan Thee Stallion Is Over It, Calls Out (Ex) Boyfriend Klay Thompson
- Why Are Black Women Always The 'Weakest Link' In Girl Groups?
